Texas Dermatology Med Spa
PicoSure Revitalization
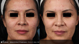
PicoSure – The first and leading choice for comfortable and convenient tattoo removal and skin revitalization treatments for wrinkles, acne scars and pigment like freckles, sunspots and discoloration.
PicoSure is the first of a new generation of aesthetic lasers that don’t rely solely on heat to burn or melt away unwanted tattoo ink or melanin, the pigment that causes dark spots in your skin.
Instead, PicoSure engineers used cutting edge physics and medical science to help practitioners treat patients in a new way. Instead of building up heat, PicoSure delivers energy so rapidly (in trillionths of a second) that tiny particles that make up pigment and tattoo ink vibrate and shatter, without burning surrounding tissue. Less heat means less tissue damage and discomfort.
Even more impressively, PicoSure’s revolutionary technology is designed to harness the body’s natural healing processes to restore youthful skin in ways never before possible. Using proprietary Focus lens technology, PicoSure effectively converts the laser energy into gentle pressure waves that activate Cell Signaling, the body’s natural communication processes and one of the most exciting medical discoveries in recent history.
Disclaimer: This item will not be shipped and is a service provided by Texas Dermatology Med Spa. To redeem this purchase, you must book your appointment by calling us at 210-245-4050.








